11 C
New York

“Hurricane Melissa Intensifies, Threatens Catastrophic Damage”

Published:

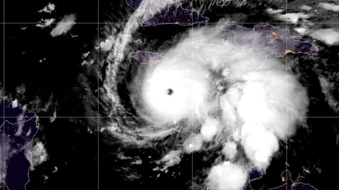
A menacing hurricane approaching Jamaica and Cuba has strengthened and is on track to potentially reach Category 5 — the highest classification — by the time it hits land either this evening or early Tuesday, as per forecasts. The US National Hurricane Center (NHC) predicts that hurricane Melissa will bring severe flooding, landslides, and storm surges to the area. Jamaican authorities are advising residents to evacuate to one of the 900 shelters set up across the island.

Prime Minister Andrew Holness has issued mandatory evacuation orders for Port Royal in Kingston and six other regions. The storm, currently named Melissa, has maximum sustained winds reaching 140mph (220kph) and is anticipated to gain more strength as it nears Jamaica.

Minister of Local Government Desmond McKenzie expressed concerns, stating that many communities are at risk of devastating flooding, especially in low-lying areas like Kingston. The closure of both international airports has been implemented.

The slow-moving storm has already caused casualties in Haiti and the Dominican Republic, with reports of fatalities and missing individuals. The NHC warns that Melissa could bring rainfall ranging between 15 to 30 inches to Jamaica and southern Hispaniola, with some areas potentially receiving over 40 inches.

Eastern Cuba is expected to face rainfall amounts of 10 to 15 inches, with localized totals up to 20 inches. Authorities are cautioning about extensive damage to infrastructure, potential power and communication disruptions, and possible isolation of communities in Jamaica.

Jamaica’s Information Minister, Dana Morris Dixon, highlighted the readiness of the Caribbean Disaster Emergency Management Agency to provide assistance, with international partners pledging support. She emphasized the unprecedented rainfall forecasts, signaling potential catastrophic consequences.

AccuWeather’s lead hurricane expert, Alex DaSilva, warned of the looming threat of torrential rainfall, flash floods, power outages, and road closures across Haiti, the Dominican Republic, Cuba, and Jamaica. The severity of the impacts from Melissa is a major concern for the region.

Related articles

Recent articles